条件筛选
-
-
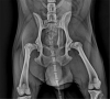
瑞派明星专科:攻克骨疾难题,撑起健康“生命架构”
瑞派骨科团队坚持融合国际骨科技术与康复理念,不仅关注手术中的骨骼复位,更重视术后的功能康复与长期管理。始终致力于为每一只爱宠构筑健康坚实的骨骼支撑,让活力延续,让快乐常在。
-
-
-
-
瑞派明星专科:洞见宠物内科,守护生命的每一次呼吸
瑞派内科专家团队深耕每个病例,不放过任何异常指标,细致分析每处异常,因为我们深知,真正的健康始于对细节的关注。他们始终守护着宠物的每一次呼吸、每一刻欢跳,还给毛孩子本该无忧的温馨日常。
-
-
-
-